Do you get tongue tide like me, when people ask you for your favorite travel destination? Personally, I find it impossible to pick just one. I have been privileged to visit so many amazing places and honestly can appreciate every single one for different reasons. Food, architecture, history, uniqueness, culture, people… I can think of countless reason to fall in love with a city or country.
With that in mind, I thought of shedding some light on my travel favorites based on different categories. Hope you enjoy and please feel free to let me know your thoughts in the comments.
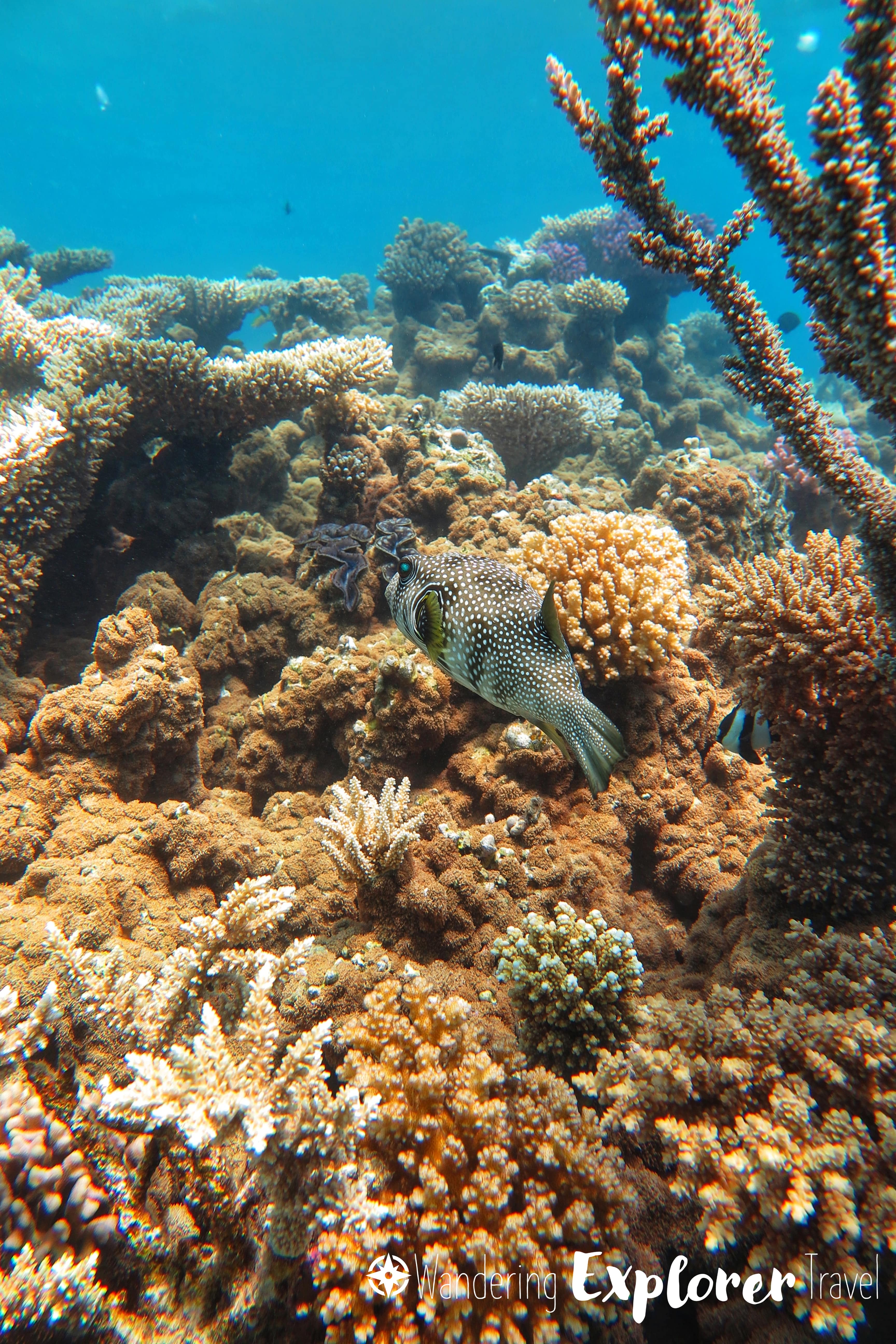
Favorite Underwater Scenery: Red Sea (Egypt)
In early 2016, I was in a bad place mentally. I had been overworking myself for over a year and not taken my mental health or personal needs seriously. To re-center at least a little bit, my then-boyfriend and I decided to take an All-inclusive vacation in Hurghada (Egypt). The resort we chose was in Makadi Bay, directly on the Red Sea.
This vacation was my first true introduction to snorkeling and diving. To me, the Red Sea was perfect to try them out. The salt content is so high that you are not really afraid of drowning. Additionally, the coral reefs are gorgeous with colorful fish dipping in and out of its creeks.
And I fell in love with the underwater world. To me, diving and snorkeling feel like flying. And I get to explore a fascinating sphere that even though it on the same planet seems so different from our own. Like it is from a different planet, operating by it’s own laws. At times, it feels truly magical.
Aside from Egypt, I have only had the opportunity to snorkel in Grand Gaube (Mauritius) and Maui, Hawaii (USA). So it’s only been small excursions into the underwater world and I am sure that there are other (maybe even more) gorgeous spots around the world to explore. But I know that I can’t wait to check some of them out eventually. Hopefully soon! 🐟🐠🐡🦐🦑🐙🦞🦀🐚
How about you?
Have you gone diving or snorkeling before? If so, where is your favorite spot?
Cover picture was taken in Makadi Bay (Egypt) in Apr 2016






The photos are amazing! I haven’t done snorkeling or diving yet ever. I’ve been meaning to but I’m not sure if I can cause I don’t know how to swim 😅🤣
LikeLiked by 1 person
Might want to start with swimming lessons to be on the safe side 😂👍
LikeLike
I’ve snorkeled before, but by no means have I gone that far down into the ocean. I have fond memories of snorkeling in Turks and Caicos, as well as in the Blue Lagoon in Croatia. Fun times!
LikeLiked by 1 person
Sounds lovely 😇 Since I don’t have much snorkeling experience, I am always surprised and get excited to find out where there might be a new opportunity 😍
LikeLiked by 1 person
Loved our time snorkeling in Hawaii. Brings back memories of our time at the Red Sea but didn’t snorkel there. Great photos.
LikeLiked by 1 person
Thank you 😇
LikeLike
We were actually planning a trip to go diving in the Red Sea last year, but then, well, the pandemic happened. I got my PADI OW back in 2016 in Saint Martin and AOW in Roatan a couple years later. Some of my favourite places to go diving include Bonaire, Cozumel, Roatan and Maui. Oddly enough, I find snorkelling more scary than diving!
LikeLiked by 1 person
I only dived once, but I understand what you mean. Since you are nowhere near the surface, you don’t feel the waves and the water feels so peaceful on a good day.
LikeLiked by 1 person
This is Berto’s favourite way of relaxing! He loved diving in the Red Sea (especially the ship wrecks, in particular the SS Thistlegorm) … there are a couple of pictures on our blog under “Egypt”. In fact, our next post will feature some under water photo’s that he recently took on our trip to Sodwana Bay (here in South Africa).
LikeLiked by 1 person
I will have to have a look 😍
LikeLike
So interesting …
LikeLike